267 Accabonac Road, East Hampton, NY, 11937 | $1,599,999

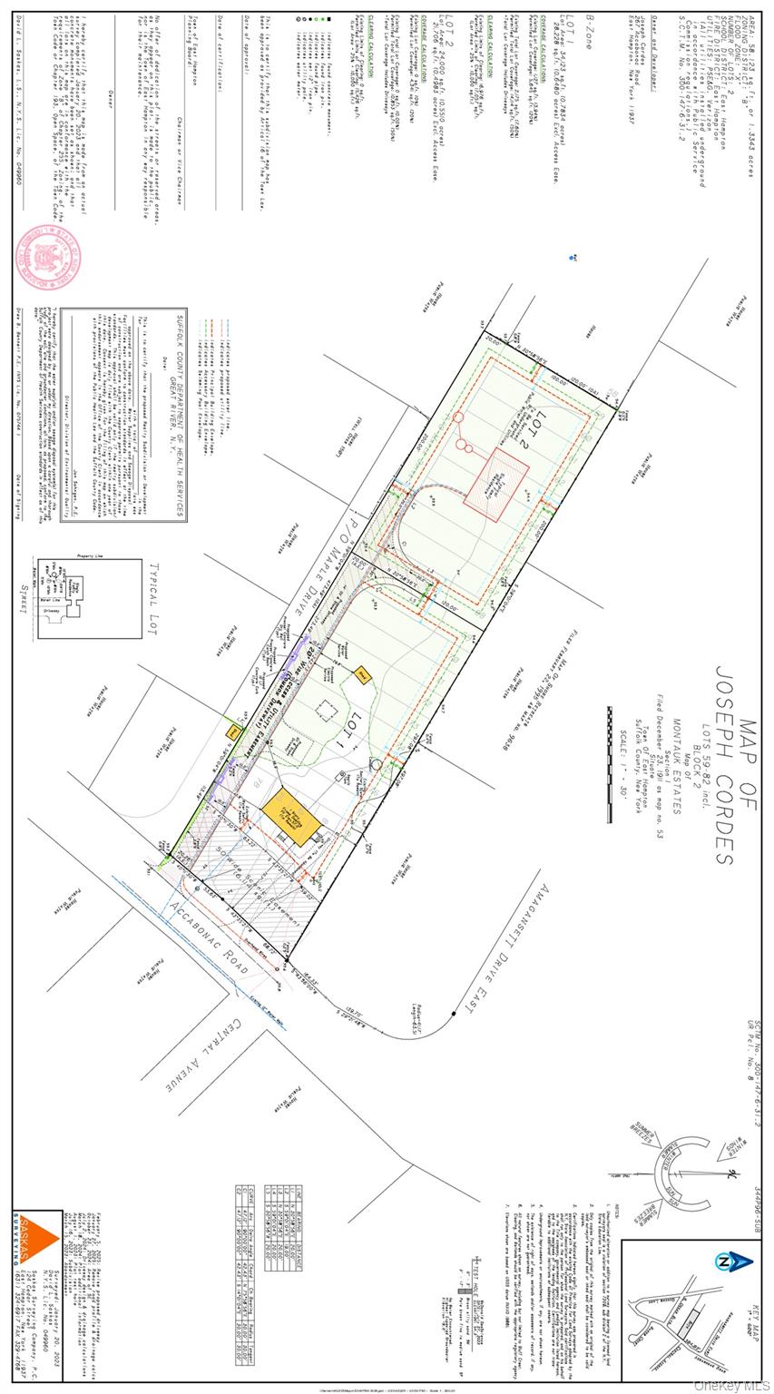
A rare East Hampton North compound opportunity — fully subdivided and ready for your vision. Just minutes from East Hampton Village and the ocean, this unique two-lot package pairs an inviting 3-bedroom, 1-bath cottage with full basement on 0. 82 acre (120' × 297') with a separately subdivided rear parcel of 0. 55 acre (120' × 200'). Together, the properties span nearly 1. 37 acres, offering an exceptional canvas for creating a true Hamptons retreat. The residence is comfortable and light-filled as-is, with potential for expansion, while the rear lot offers room for a pool, guest house, or new construction. The property will be delivered fully subdivided at closing, giving buyers flexibility from day one. All site improvements and building permits will be the responsibility of the purchaser. The location is second to none — within minutes of Main Beach, consistently ranked among the nation’s best, as well as the serene sands of Georgica, Egypt, Wiborg, and Two Mile Hollow Beaches. East Hampton’s Main Street Village is equally close, offering luxury boutiques, fine dining, art galleries, and cultural institutions that define the Hamptons lifestyle. Whether you choose to preserve the charm of the existing cottage, expand into a compound, or build anew, this property represents a rare chance to secure two legally subdivided parcels in one of East Hampton’s most desirable settings — at a price point well below the area’s median.

Features

  • Rooms: 6
  • Bedrooms: 3
  • Baths: 1 full
  • Laundry: In Basement
  • Style: Ranch
  • Year Built: 1979
  • Heating: Electric
  • Cooling: None
  • Basement: Unfinished
  • Approx Sq. Feet: 1,008
  • Acreage: 1.34
  • Est. Taxes: $4,654
  • Lot Desc: Back Yard, Level, Near Shops, Part Wooded, Private, Secluded, Split Possible, Subdivided
  • View: Trees/Woods
  • Elem. School: John M Marshall Elementary School
  • Middle School: East Hampton Middle School
  • High School: East Hampton High School
  • School District: East Hampton
  • Appliances: Dishwasher, Dryer, Electric Cooktop, Electric Oven, Electric Water Heater, Microwave, Refrigerator, Washer
  • MLS#: 902310
  • Days on Market: 3 days
  • Website: https://www.raveis.com
    /eprop/902310/267accabonacroad_easthampton_ny?source=qrflyer
Listing information has been assembled from various sources of varying degrees of reliability. Any information critical to the buying decision should be independently verified.

William Raveis Family of Services

Our family of companies partner in delivering quality services in a one-stop-shopping environment. Together, we integrate the most comprehensive real estate, mortgage and insurance services available to fulfill your specific real estate needs.

Armando Ugarte CastelarREALTOR

401.255.8816

armando.ugartecastelar@raveis.com

Our family of companies offer our clients a new level of full-service real estate. We shall:

  • Market your home to realize a quick sale at the best possible price
  • Place up to 20+ photos of your home on our website, raveis.com
  • Provide frequent communication and tracking reports showing the Internet views your home received on raveis.com
  • Showcase your home on raveis.com with a larger and more prominent format
  • Give you the full resources and strength of William Raveis Real Estate, Mortgage & Insurance and our cutting-edge technology

To learn more about our credentials, visit raveis.com today.

Brianna TurgeonVP, Mortgage Banker, William Raveis Mortgage, LLC

NMLS Mortgage Loan Originator ID 2104486

860.625.5780

Brianna.Turgeon@raveis.com

Our Executive Mortgage Banker:

  • Is available to meet with you in our office, your home or office, evenings or weekends
  • Offers you pre-approval in minutes!
  • Provides a guaranteed closing date that meets your needs
  • Has access to hundreds of loan programs, all at competitive rates
  • Is in constant contact with a full processing, underwriting, and closing staff to ensure an efficient transaction

Allen GellermanInsurance Sales Director, William Raveis Insurance

617.686.2668

Allen.Gellerman@raveis.com

Our Insurance Division:

  • Will Provide a home insurance quote within 24 hours
  • Offers full-service coverage such as Homeowner's, Auto, Life, Renter's, Flood and Valuable Items
  • Partners with major insurance companies including Chubb, Kemper Unitrin, The Hartford, Progressive,
    Encompass, Travelers, Fireman's Fund, Middleoak Mutual, One Beacon and American Reliable

267 Accabonac Road, East Hampton, NY, 11937

$1,599,999

Armando Ugarte Castelar

REALTOR

William Raveis Real Estate

Phone: 401.255.8816

armando.ugartecastelar@raveis.com

Brianna Turgeon

VP, Mortgage Banker

William Raveis Mortgage, LLC

Phone: 860.625.5780

Brianna.Turgeon@raveis.com

NMLS Mortgage Loan Originator ID 2104486

5/6 (30 Yr)
Adjustable Rate Jumbo*
30 Year
Fixed-Rate Jumbo
15 Year
Fixed-Rate Jumbo
Loan Amount $1,279,999 $1,279,999 $1,279,999
Term 360 months 360 months 180 months
Initial Interest Rate** 5.250% 5.875% 5.625%
Interest Rate based on Index + Margin 8.125%
Annual Percentage Rate 6.069% 6.031% 5.846%
Monthly Tax Payment $388 $388 $388
H/O Insurance Payment $125 $125 $125
Initial Principal & Interest Pmt $7,068 $7,572 $10,544
Total Monthly Payment $7,581 $8,085 $11,057

* The Initial Interest Rate and Initial Principal & Interest Payment are fixed for the first and adjust every six months thereafter for the remainder of the loan term. The Interest Rate and annual percentage rate may increase after consummation. The Index for this product is the SOFR. The margin for this adjustable rate mortgage may vary with your unique credit history, and terms of your loan.

** Mortgage Rates are subject to change, loan amount and product restrictions and may not be available for your specific transaction at commitment or closing. Rates, and the margin for adjustable rate mortgages [if applicable], are subject to change without prior notice.

The rates and Annual Percentage Rate (APR) cited above may be only samples for the purpose of calculating payments and are based upon the following assumptions: minimum credit score of 740, 20% down payment (e.g. $20,000 down on a $100,000 purchase price), $1,950 in finance charges, and 30 days prepaid interest, 1 point, 30 day rate lock. The rates and APR will vary depending upon your unique credit history and the terms of your loan, e.g. the actual down payment percentages, points and fees for your transaction. Property taxes and homeowner's insurance are estimates and subject to change.