Price Reduced 34.73%


Price History

$55,000
10/22/2024

$35,900
5/2/2026


Red Hill Road, Wurtsboro, NY, 12790

Red Hill Road, Wurtsboro, NY, 12790

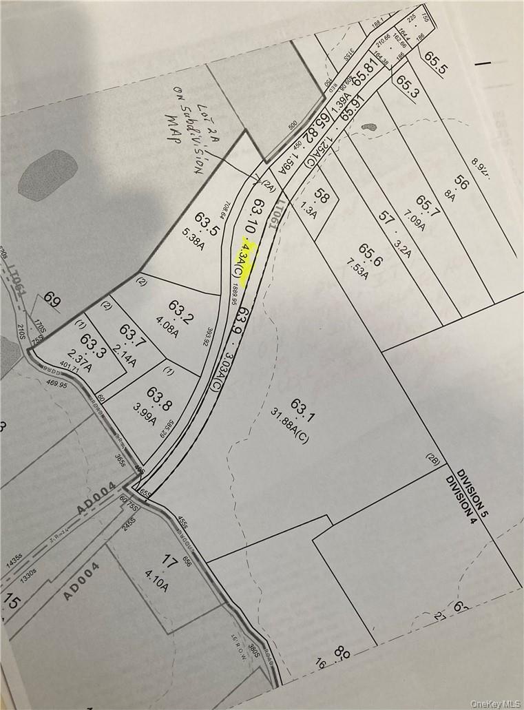
Road frontage 1800 feet. intersection of Red Hill Road and Dug Out Road Zoned Vacant Rural Residential great spot to have your a log cabin or getaway vacation home.even a new Tiney home. great area for deer hunting. streams to trout fish.check with building department at town of Mamakating for code rules and set backs and get ok for a trailer or camper. ? take rt.209 to Phillipsport rd. as you ascend keep right at the split.stay on Red Hill Road. go 1/2 mils till you pass Doug Out rd on right . lot is 33 feet wide at that point. continue on Red Hill Road.1800 road frontage till you see my signs.on right and a orange flag marker next to telephone pole lot is 197 feet wide at this point. lot line goes a little longer past the pole. quiet country life style. I would recommend asking the town building inspector to meet you at the property.to make sure any setbacks from center of county road and neighbor at the widest end? and the stream. in some cases set back from center of road is 25 feet. side line from widest area might be 25 feet and 100 feet from any stream?would allow a small home or cabin. ? check with the building inspector be for we make an offer to the seller. some times at the town hall they could pull up a map and deed. to answer the question.Motived seller Bring an offer today.


Status:

Active

Type:

Lot / Acreage

Acreage:

4.3

Est. Taxes:

$1,156

Assessment

$19,100

Current Use

Single Family

Elementary School:

Ellenville Elementary School

Middle School:

ELLENVILLE JUNIOR/SENIOR HIGH SCHOOL

High School:

ELLENVILLE JUNIOR/SENIOR HIGH SCHOOL

School District:

Ellenville

Days on Market:

564

MLS #:

H6333772


Community Info

School Info

Walk Score

Mass Transit

Yelp



Listing courtesy of Howard Hanna Rand Realty 845-744-2095